00件
最近見た物件
00件
検討リスト
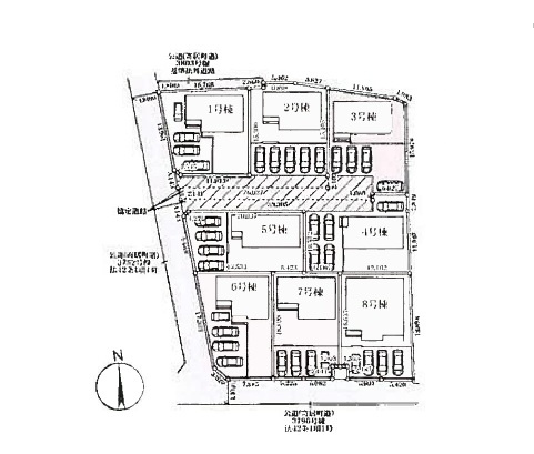
ふじみ野市の不動産|株式会社東武住販 > 寄居町露梨子 全8棟 6号棟
JCBギフト券1万円分プレゼント!当社より本物件をご購入の方に!その他のサービスについては下記『担当者(スタッフ)のコメント』をご確認ください。











(※元利均等方式 金利5.00%まで ※返済年数5~50年まで入力できます)
(※ボーナスは年2回で計算しています。1000万円まで入力できます)
(※物件購入時、その他諸費用が発生する場合がございます)
| 所在地 | 埼玉県大里郡寄居町大字露梨子 | ||
|---|---|---|---|
| 交通 | |||
| 間取り/詳細 |
4LDK/ LDK 16.0帖 1室/和室 5.2帖 1室/洋室 8.5帖 1室/洋室 5.3帖 1室/洋室 6.2帖 1室 |
建物面積(坪数) | 112.62㎡(34.06坪) |
| 価格 | 2,490万円 | ||
| 駐車場/月額料金 | 有(4台)/0円 | ||
| 土地の敷金/保証金 | -/- | 借地料/借地期間 | -/- |
| 土地権利 | 所有権 | 土地面積(坪数) | 218.93㎡(66.22坪) |
| 傾斜地部分面積 | - | 路地状敷地 | - |
| 私道負担面積/セットバック | -/無 | 高圧線下面積 | - |
| 地目/地勢 | 宅地/- | 接道状況 | 角地(西 公道 4.8m)(南 公道 4.4m) |
| 建ぺい率/容積率 | 60%/200% | 用途地域 | 無指定 |
| 都市計画 | 非線引区域 | 種別/構造 | 新築一戸建/木造 |
| 階建 | 2階建 | 築年月(築年数) | 2026年 1月 (新築) |
| 総区画数/販売区画数 | 8区画/1区画 | 向き | 南 |
| 現況 | 完成済み | その他の法令上の制限 | - |
| 取引態様/引渡時期 | 仲介/即時 | 建築確認番号 | 第25UDI1W建02819号 |
| 物件番号 | 101215063 | 取引条件の有効期限 | 2026年03月22日 |
| 設備条件 |
|
||
| 備考 | 閑静な住宅地 | ||
| 取扱会社 |
|
||
| QRコード |
このQRコードを読み取ることで、スマホでも物件情報を確認できます。 |
||
※地図上に表示される物件の位置は付近住所に所在することを表すものであり、実際の物件所在地とは異なる場合がございます。
寄居町露梨子 全8棟 6号棟に関するこだわり条件から探す
大里郡寄居町以外の市区町村から探す